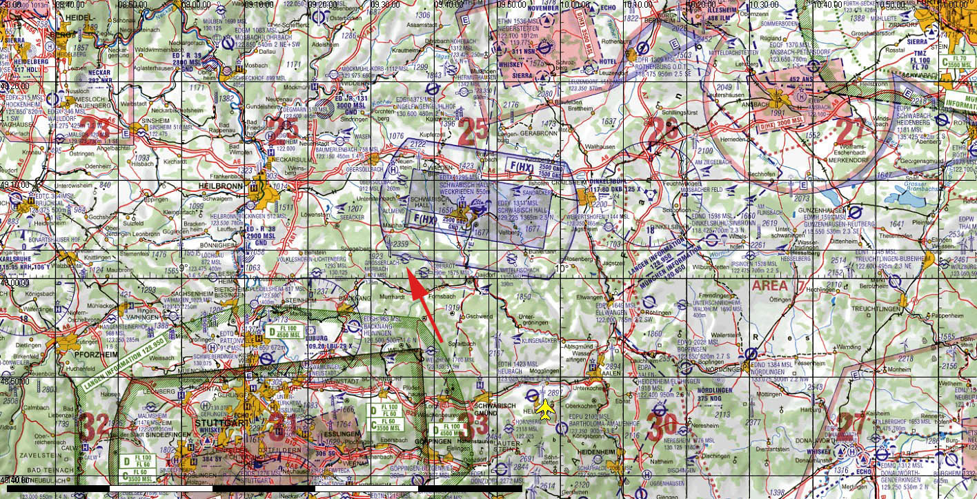
Großerlach-Morbach
Sonderlandeplatz UL; VFR
9 NM SW Schwäbisch Hall (EDTY)
Frequenz |
135.165 |
|---|---|
ACFT |
UL / MLA 472,5 kg, andere/others Schwäbisch Hall (EDTY) |
Time |
PPR: 0171-8219624; 0151-53581922; 07192-930140 (DULV) |
ACC |
0171-8219624; 07192-9361660; 07192-930140 (DULV) |
MET |
0900-1077227 |
GAFOR |
53 |
FUEL |
Mogas (Super bleifrei/unleaded) |
Hangar |
beschränkt/limited |
Restaurant |
no |
Achtung!Attention |
Im Anflug 27 Stromleitung überfliegen!! Im Anflug 09 über Waldstück. |
Dringend beachten: Zwingend vor dem Anflug anrufen (PPR) und für den Funk beim An- und Abflug auf jeden Fall Blindmeldungen senden, wenn Bodenstelle nicht besetzt. (Typ, Kennzeichen, Position, Absicht)
Es gibt eine südliche und eine nördliche Platzrunde. Wenn nicht aus flugtechnischen Gründen etwas anderes notwendig ist, ist die SÜDLICHE Platzrunde zu wählen.
Es ist darauf zu achten, dass die umliegenden Ortschaften nicht unter 3.000 ft überflogen werden.
Bei Abflügen 09 direkt nach der Ortschaft Morbach nach Süden abdrehen, ohne die Siedlung „Platte“ zu überfliegen.
Bevorzugte Landerrichtung: 27; bevorzugte Startrichtung: 09 - selbstverständlich abhängig von der vorherrschenden Windrichtung.
ICAO 1:500.000 - KARTEN NICHT FÜR NAVIGATIONSZWECKE VERWENDEN!!!

1:25.000 - KARTEN NICHT FÜR NAVIGATIONSZWECKE VERWENDEN!!!

1:2.500 - KARTEN NICHT FÜR NAVIGATIONSZWECKE VERWENDEN!!!

| Approach 27 | Approach 09 |
|---|---|